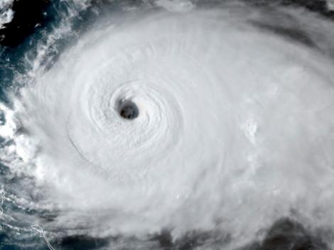
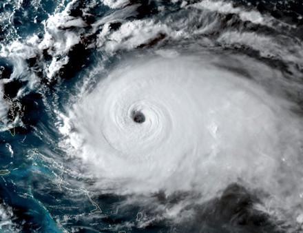
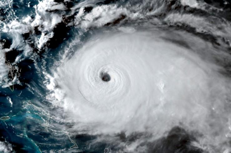
VIDÉO : d'où vient le nom des ouragans ?

Les cyclones de l'hémisphère nord (les ouragans) sont donc nommés par une liste fixée à l'avance par le groupe météorologique des Nations Unies.
Plusieurs systèmes d'attribution des noms ont été testés auparavant, avec plus ou moins de succès
Les Espagnols ont ainsi nommé les cyclones en fonction du saint patron du jour. Mais ce système a connu des défaillances quand deux cyclones ont hérité du même nom car ils sont intervenus le même jour que celui de la Saint Felipe mais avec 52 ans d'écart. Le deuxième est donc resté dans les mémoires comme « Grand Cyclone ». Pendant la Seconde Guerre mondiale, les météorologistes de l'armée de l'air américaine avaient pris l'habitude de donner aux cyclones le prénom de leur femme ou de leur petite-amie et les cyclones furent ainsi féminins jusqu'en 1979 ! Cette année-là, en raison des critiques des mouvements féministes, une nouvelle liste a été créée pour l'hémisphère nord avec les prénoms alternativement masculins et féminins. Dans l'hémisphère sud, la gestion des noms est différente : les cyclones sont nommés par différents organismes météorologiques, dont le centre de la Réunion pour l'océan Indien.