Le volcan sous-marin au large de Mayotte toujours en activité

Par AFP / Le Figaro Nautisme

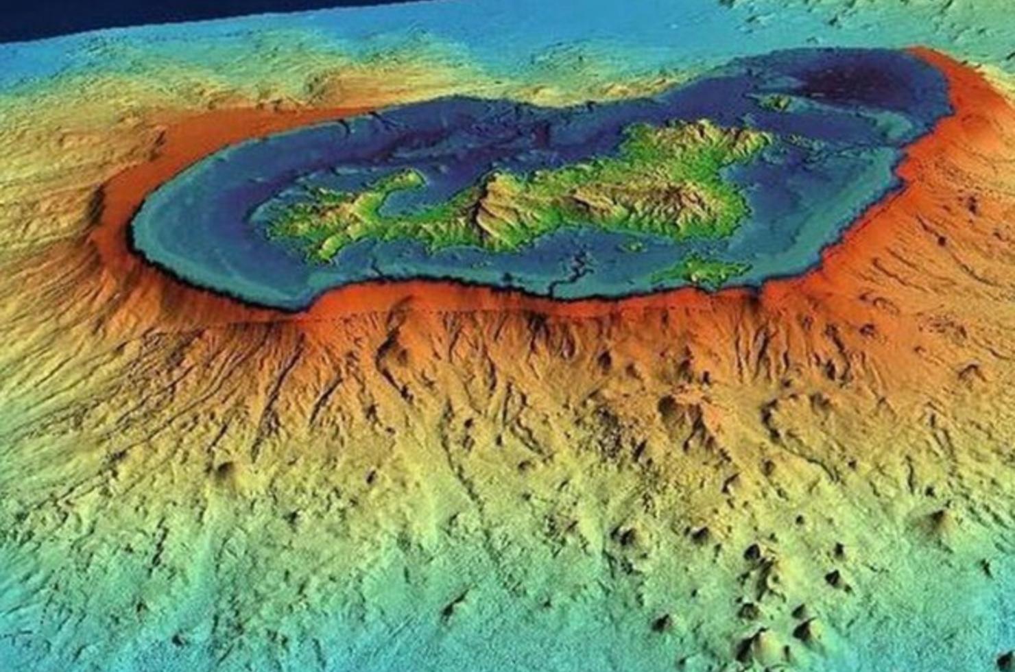
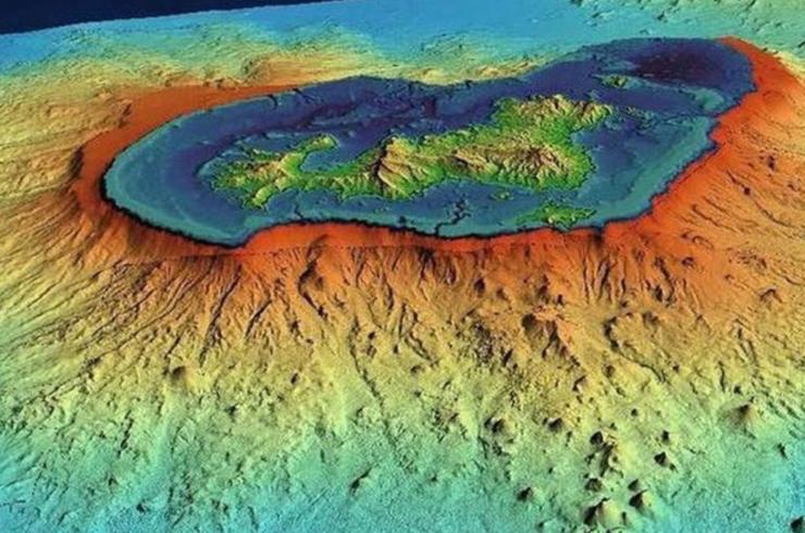
Le volcan sous-marin découvert en mai 2019 au large de Mayotte est toujours en activité, a annoncé mercredi la préfecture de Mayotte, selon les données de la dernière campagne scientifique menée sur place en octobre.

La dernière campagne océanographique menée du 1er au 26 octobre "a permis d'identifier au nord-ouest du volcan de nouvelles coulées de lave entre 0 et 60 m mètres d'épaisseur sur le fond marin, qui signent la persistance d'une activité éruptive, toujours en cours au moment de la campagne, dans la zone où sont générés des séismes" au Nord-ouest du volcan, explique la préfecture dans un communiqué.

Le volcan sous-marin avait été découvert à l'occasion d'une première mission scientifique en mer, en mai 2019, coordonnée par le Centre national français de la recherche scientifique (CNRS), après l'apparition en mai 2018 d'un phénomène de séismes en essaim à Mayotte, île française de l'océan Indien.

Les relevés du fond marin permettent cependant "de constater que la morphologie du volcan n'a pas évolué depuis août 2019", ajoute le communiqué.

Selon les études déjà menées sur le volcan, ce dernier est large comme la moitié de Paris, haut de 800 mètres de haut, et a provoqué des séismes qui ont fait s'affaisser Mayotte de 15 centimètres.

La dernière mission océanographique, baptisée MAYOBS 15, du REseau de surveillance VOlcanologique et SIsmologique de MAyotte (REVOSIMA), se déroulait à bord du navire Marion Dufresne.

Elle rassemblait 44 scientifiques et techniciens de l'institut français de recherche pour l'exploitation de la mer (Ifremer), de l'institut de physique du globe de Paris (IPGP), du bureau de recherches géologiques et minières (BRGM), de l'institut national des sciences de l'univers du centre national pour la recherche scientifique (CNRSINSU), dont les laboratoires de l'université Clermont-Auvergne (UCA), de l'institut universitaire européen de la mer (IUEM) et de l'université de La Rochelle.

La rédaction vous conseille
L'équipe
Nathalie Moreau
Nathalie Moreau
Nathalie Moreau
Nathalie Moreau est l’atout voyage et évasion de l’équipe, elle est passionnée de croisières et de destinations nautiques. En charge du planning rédactionnel du site figaronautisme.com et des réseaux sociaux, Nathalie suit de très près l’actualité et rédige chaque jour des news et des articles pour nous dépayser et nous faire rêver aux quatre coins du monde. Avide de découvertes, vous la croiserez sur tous les salons nautiques et de voyages en quête de nouveaux sujets.
Gilles Chiorri
Gilles Chiorri
Gilles Chiorri
Associant une formation d’officier C1 de la marine marchande et un MBA d’HEC, Gilles Chiorri a sillonné tous les océans lors de nombreuses courses au large ou records, dont une victoire à la Mini Transat, détenteur du Trophée Jules Verne en 2002 à bord d’Orange, et une 2ème place à La Solitaire du Figaro la même année. Il a ensuite contribué à l’organisation de nombreux évènements, comme la Coupe de l’America, les Extreme Sailing Series et des courses océaniques dont la Route du Rhum et la Solitaire du Figaro (directeur de course), la Volvo Ocean Race (team manager). Sa connaissance du monde maritime et son réseau à l’international lui donnent une bonne compréhension du milieu qui nous passionne.
Il collabore avec les équipes de METEO CONSULT et Figaro Nautisme depuis plus de 20 ans.
Sophie Savant-Ros
Sophie Savant-Ros
Sophie Savant-Ros
Sophie Savant-Ros, architecte de formation et co-fondatrice de METEO CONSULT est entre autres, directrice de l’édition des « Bloc Marine » et du site Figaronautisme.com.
Sophie est passionnée de photographie, elle ne se déplace jamais sans son appareil photo et privilégie les photos de paysages marins. Elle a publié deux ouvrages consacrés à l’Ile de Porquerolles et photographie les côtes pour enrichir les « Guides Escales » de Figaro Nautisme.
Albert Brel
Albert Brel
Albert Brel
Albert Brel, parallèlement à une carrière au CNRS, s’est toujours intéressé à l’équipement nautique. Depuis de nombreuses années, il collabore à des revues nautiques européennes dans lesquelles il écrit des articles techniques et rend compte des comparatifs effectués sur les divers équipements. De plus, il est l’auteur de nombreux ouvrages spécialisés qui vont de la cartographie électronique aux bateaux d’occasion et qui décrivent non seulement l’évolution des technologies, mais proposent aussi des solutions pour les mettre en application à bord des bateaux.
Jean-Christophe Guillaumin
Jean-Christophe Guillaumin
Jean-Christophe Guillaumin
Journaliste, photographe et auteur spécialisé dans le nautisme et l’environnement, Jean-Christophe Guillaumin est passionné de voyages et de bateaux. Il a réussi à faire matcher ses passions en découvrant le monde en bateau et en le faisant découvrir à ses lecteurs. De ses nombreuses navigations il a ramené une certitude : les océans offrent un terrain de jeu fabuleux mais aussi très fragile et aujourd’hui en danger. Fort d’une carrière riche en reportages et articles techniques, il a su se distinguer par sa capacité à vulgariser des sujets complexes tout en offrant une expertise pointue. À travers ses contributions régulières à Figaro Nautisme, il éclaire les plaisanciers, amateurs ou aguerris, sur les dernières tendances, innovations technologiques, et défis liés à la navigation. Que ce soit pour analyser les performances d’un voilier, explorer l’histoire ou décortiquer les subtilités de la course au large, il aborde chaque sujet avec le souci du détail et un regard expert.
Charlotte Lacroix
Charlotte Lacroix
Charlotte Lacroix
Charlotte est une véritable globe-trotteuse ! Très jeune, elle a vécu aux quatre coins du monde et a pris goût à la découverte du monde et à l'évasion. Tantôt à pied, en kayak, en paddle, à voile ou à moteur, elle aime partir à la découverte de paradis méconnus. Elle collabore avec Figaro Nautisme au fil de l'eau et de ses coups de cœur.
Max Billac
Max Billac
Max Billac
Max est tombé dedans quand il était petit ! Il a beaucoup navigué avec ses parents, aussi bien en voilier qu'en bateau moteur le long des côtes européennes mais pas que ! Avec quelques transatlantiques à son actif, il se passionne pour le monde du nautisme sous toutes ses formes. Il aime analyser le monde qui l'entoure et collabore avec Figaro Nautisme régulièrement.
Denis Chabassière
Denis Chabassière
Denis Chabassière
Naviguant depuis son plus jeune âge que ce soit en croisière, en course, au large, en régate, des deux côtés de l’Atlantique, en Manche comme en Méditerranée, Denis, quittant la radiologie rochelaise en 2017, a effectué avec sa femme à bord de PretAixte leur 42 pieds une circumnavigation par Panama et Cape Town. Il ne lui déplait pas non plus de naviguer dans le temps avec une prédilection pour la marine d’Empire, celle de Trafalgar …
Michel Ulrich
Michel Ulrich
Michel Ulrich
Après une carrière internationale d’ingénieur, Michel Ulrich navigue maintenant en plaisance sur son TARGA 35+ le long de la côte atlantique. Par ailleurs, il ne rate pas une occasion d’embarquer sur des navires de charge, de travail ou de services maritimes. Il nous fait partager des expériences d’expédition maritime hors du commun.
METEO CONSULT
METEO CONSULT
METEO CONSULT
METEO CONSULT est un bureau d'études météorologiques opérationnel, qui assiste ses clients depuis plus de 30 ans. Les services de METEO CONSULT reposent sur une équipe scientifique de haut niveau et des moyens techniques de pointe. Son expertise en météo marine est reconnue et ses prévisionnistes accompagnent les plaisanciers, les capitaines de port et les organisateurs de courses au large depuis ses origines : Route du Rhum, Transat en double, Solitaire du Figaro…
Cyrille Duchesne
Cyrille Duchesne
Cyrille Duchesne
Titulaire d'un doctorat en Climatologie-Environnement, Cyrille est notre expert METEO CONSULT. Après avoir enseigné la climatologie et la géographie à l'université, il devient l'un des météorologues historiques de La Chaîne Météo en intégrant l'équipe en 2000. Spécialiste de la météo marine, il intervient également en tant qu'expert météo marine pour des courses de renommée mondiale, comme la Route du Rhum, la Solitaire du Figaro, la Transat Paprec...
Irwin Sonigo
Irwin Sonigo
Irwin Sonigo
Capitaine 200 et ancien embarqué dans la Marine nationale, Irwin Sonigo a exploré toutes les facettes de la navigation. Des premiers bords sur un cotre aurique de 1932 à la grande plaisance sur la Côte d’Azur, en passant par les catamarans de Polynésie, les voiliers des Antilles ou plusieurs transatlantiques, il a tout expérimenté. Il participe à la construction d’Open 60 en Nouvelle-Zélande et embarque comme boat pilote lors de la 32e America’s Cup. Aujourd’hui, il met cette riche expérience au service de Figaro Nautisme, où il signe des essais et reportages ancrés dans le réel.